An Incredible World Has Been Found Deep Under The Ocean
Parvati Misra - Oct 12, 2018
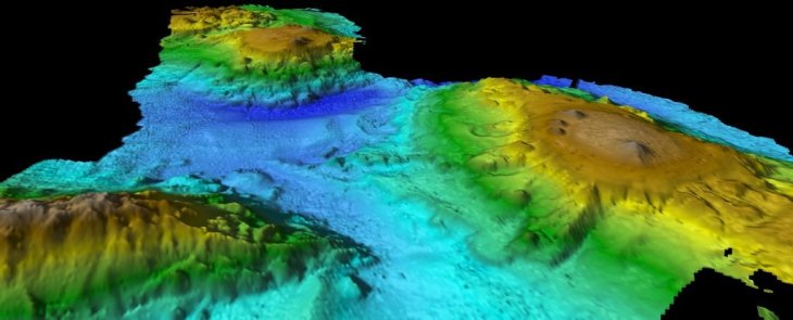
While mapping the 249-mile seafloor of Tasmania, scientists have discovered a stunning “lost world” off the east coast of Australia.
- Japan Hydrogen Breakthrough: Scientists Crack the Clean Energy Code with Mind-Blowing 1,000% Efficiency Jump
- 'Five-second rule' For Food Dropped On The Floor: Is It True?
- Scientists Want To Send 6.7 Million Samples, Including Sperm, To The Moon
The chain of seamounts is underwater mountains formed by ancient volcanoes which is 3-km-higher sea level. It has never been discovered before despite the massive height. Even the highest mountain is hidden below the surface of the South Pacific just 2km (1.2 miles).

According to the statement of Tara Martin, a marine geoscientist from the Commonwealth Scientific and Industrial Research Organisation (CSIRO), a range of volcanic seamounts standing up from a massively abyssal plain (about 5000 meters) is revealed vibrantly on the multibeam mapping. It is a diverse landscape and will likely be a biological hotspot that contributes to marine environmental research.
The scientists state that the terrain of volcanic ranges in shape and size. They’re probably sharp ridges or large plateaus punctuated by rounded hills and conical summits.
The project determined the relationship between food and behavior of phytoplankton in the Currently East Australia. While mapping the seafloor, the team detected the unexplored contours, formed in another era. Martin said that he and his team were completely confident the breakup of Australia and Antarctica was linked to these seamounts. It happened about 30 million years ago.
When Australia separated from the Antarctic and drifted apart. The mark left on passing plates was these volcanoes.

Humans are already planning to study the terrain as well as marine organisms and their environment in the summer in Australia. However, scientists concern these volcanic as a navigational center for sea creatures living in the deep. The scientists suggest that these seamounts may be a stopping point for some migratory creatures, especially whales, which navigate by the undersea features.


Featured Stories
Features - Jan 29, 2026
Permanently Deleting Your Instagram Account: A Complete Step-by-Step Tutorial
Features - Jul 01, 2025
What Are The Fastest Passenger Vehicles Ever Created?
Features - Jun 25, 2025
Japan Hydrogen Breakthrough: Scientists Crack the Clean Energy Code with...
ICT News - Jun 25, 2025
AI Intimidation Tactics: CEOs Turn Flawed Technology Into Employee Fear Machine
Review - Jun 25, 2025
Windows 11 Problems: Is Microsoft's "Best" OS Actually Getting Worse?
Features - Jun 22, 2025
Telegram Founder Pavel Durov Plans to Split $14 Billion Fortune Among 106 Children
ICT News - Jun 22, 2025
Neuralink Telepathy Chip Enables Quadriplegic Rob Greiner to Control Games with...
Features - Jun 21, 2025
This Over $100 Bottle Has Nothing But Fresh Air Inside
Features - Jun 18, 2025
Best Mobile VPN Apps for Gaming 2025: Complete Guide
Features - Jun 18, 2025
A Math Formula Tells Us How Long Everything Will Live
Read more
Mobile- Feb 17, 2026
Anticipating the Samsung Galaxy S26 and S26+: Key Rumors and Specs
The Samsung Galaxy S26 series is on the horizon, sparking excitement among tech enthusiasts.
ICT News- Feb 18, 2026
Google's Project Toscana: Elevating Pixel Face Unlock to Rival Apple's Face ID
As the smartphone landscape evolves, Google's push toward superior face unlock technology underscores its ambition to close the gap with Apple in user security and convenience.
ICT News- Feb 19, 2026
Escalating Costs for NVIDIA RTX 50 Series GPUs: RTX 5090 Tops $5,000, RTX 5060 Ti Closes in on RTX 5070 Pricing
As the RTX 50 series continues to push boundaries in gaming and AI, these price trends raise questions about accessibility for average gamers.
Mobile- Feb 16, 2026
Xiaomi Launches Affordable Tracker to Compete with Apple's AirTag
For users tired of ecosystem lock-in or high prices, the Xiaomi Tag represents a compelling, no-frills option that delivers core functionality at a fraction of the cost.
Comments
Sort by Newest | Popular